Ważne informacje dla kierowców w związku z remontem ul. Rzecznej

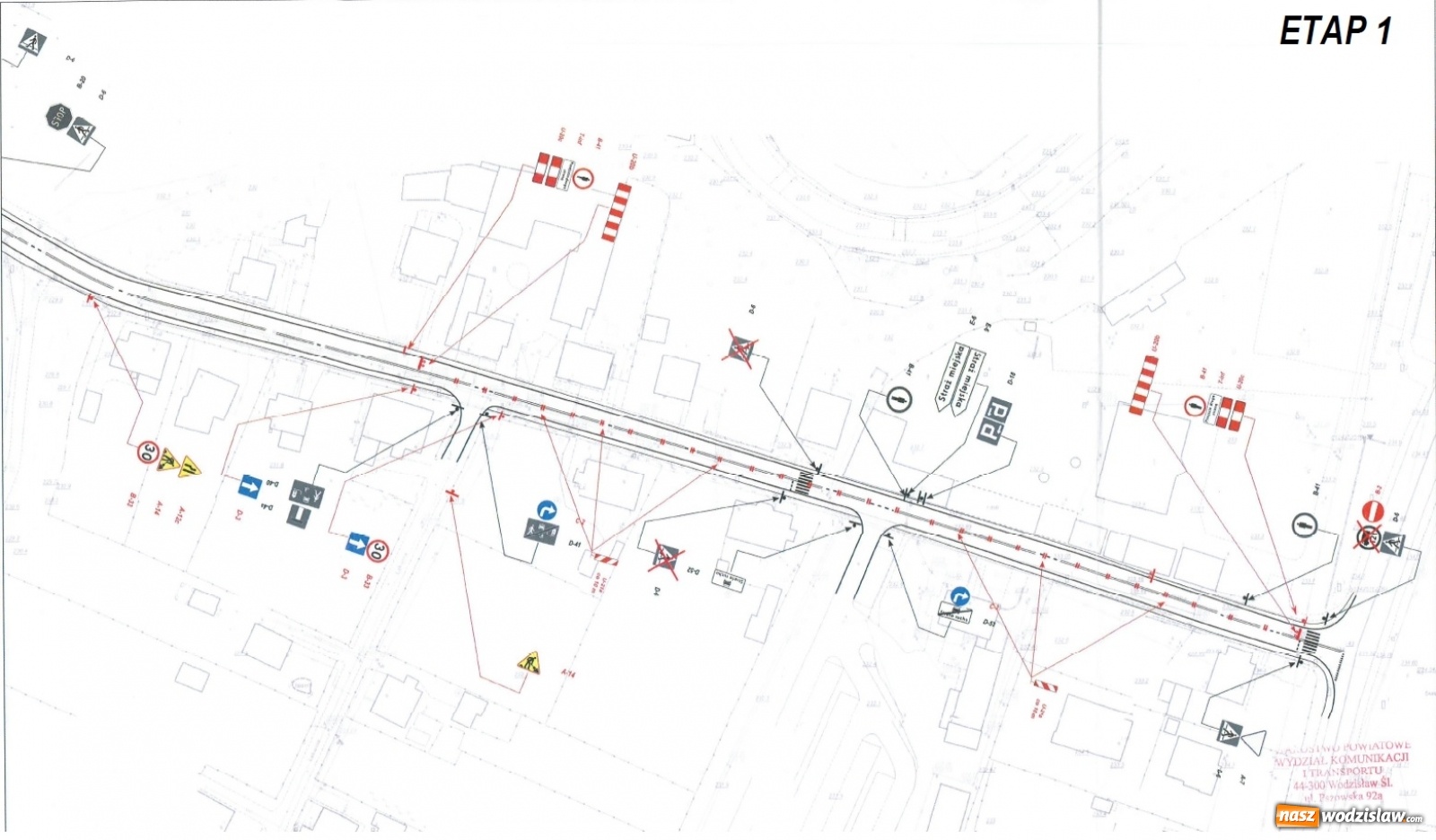
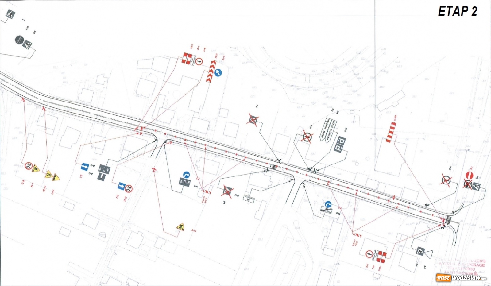
25 listopada br. rozpoczną się roboty remontowe na ulicy Rzecznej w Wodzisławiu Śląskim. W związku z tym wystąpią utrudnienia w ruchu drogowym. Wjazd od strony ul. Bogumińskiej będzie niemożliwy.
Wykonawcą robót jest Przedsiębiorstwo Budownictwa Drogowego Sp. z o. o., z siedzibą w Rybniku. Remont ul. Rzecznej zakłada wymianę nawierzchni asfaltowej o grubości 8 cm. Nawierzchnia do wymiany składać się będzie z warstwy wiążącej asfaltowej grubości 4 cm oraz ścieralnej asfaltowej grubości 4 cm. Roboty remontowe obejmą odcinek od skrzyżowania z DK 78 – ul. Bogumińska (od przejścia dla pieszych) do Straży Miejskiej.
Pierwszy etap zakłada zamknięcie lewego pasja jezdni (zerwanie nawierzchni i wykonanie warstwy wiążącej). Drugi etap będzie wiązał się z zamknięciem prawego pasa jezdni (zerwanie nawierzchni i wykonanie warstwy wiążącej). W trzecim etapie nastąpi całkowite zamknięcie drogi (wykonanie warstwy ścieralnej.)






































Komentarze (0)
Dodaj komentarz